تسجيل دخول
إنشاء حساب
اتصل بنا
اعلن لدينا
سياسة الخصوصية
تسجيل الدخول
اتصل بنا
اعلن لدينا
سياسة الخصوصية
الاعداد السابقة للصحيفة
«
‹
مايو ٢٠٢٦
›
»
السبت
الأحد
الاثنين
الثلاثاء
الأربعاء
الخميس
الجمعة
٢٥
٢٦
٢٧
٢٨
٢٩
٣٠
١
٢
٣
٤
٥
٦
٧
٨
٩
١٠
١١
١٢
١٣
١٤
١٥
١٦
١٧
١٨
١٩
٢٠
٢١
٢٢
٢٣
٢٤
٢٥
٢٦
٢٧
٢٨
٢٩
٣٠
٣١
١
٢
٣
٤
٥
الجمعة
8 مايو
الرئيسية
الأخبار المحلية
عربية ودولية
حوادث
منوعات
الوظائف
مال وأعمال
أخبار رياضية
فيديوهات
أخرى
الخبر فى صورة
صدى سبورت
عالم المرأة
عالم السيارات
وثائقيات
قلم حر
مقالات
صدى سبورت
الخبر فى صورة
وثائقيات
المزيد
عالم المرأة
عالم السيارات
اعصار
الزعاق: الفترة من 25 سبتمبر إلى 25 أكتوبر الأكثر خطورة في بحر العرب ..فيديو
الرياض
منذ 2 سنة
0
3792
لحظات مرعبة عاشها ركاب عدة رحلات في ساحة مطار شيكاغو ..فيديو
خاص
منذ 2 سنة
2
5269
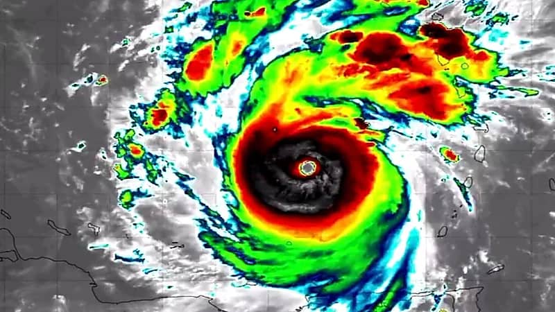
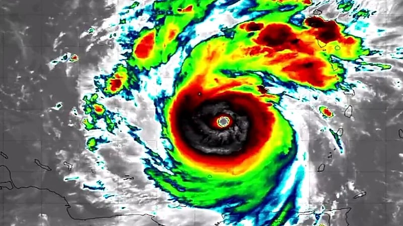
الإعصار بيريل Beryl يحطم جميع الأرقام القياسية.. فيديو
وكالات
منذ 2 سنة
0
4298
الأرصاد: المملكة لن تتأثر من إعصار بيبارجوي .. فيديو
الرياض
منذ 3 سنة
0
2642
ارتفاع ضحايا إعصار أمريكا إلى 26 شخصاً..وبايدن يعلن “الطواريء”
واشنطن
منذ 3 سنة
0
2958
فيديو..ارتفاع ضحايا إعصار أمريكا المدمر
واشنطن
منذ 3 سنة
0
2574
فيديو..مشهد مهيب من إعصار غرب الأجفر جنوب غرب حائل
حائل
منذ 3 سنة
0
5096
المسند يرد على مزاعم امتلاك أمريكا سلاحا لتغيير حالة الطقس
عادل الحربي
منذ 4 سنة
0
1556
إعصار شاهين.. عُمان تصدر التحذير رقم 3
مسقط
منذ 5 سنة
2
4698
أستراليا تتعرض لأكثر من كارثة طبيعية في آن واحد
كانبرا
منذ 8 سنة
0
5037
ارتفاع عدد ضحايا اعصار مدغشقر إلى 29 شخصا
أنتاناناريفو
منذ 8 سنة
0
3687
” نورما ” يهدأ قبل دخوله سواحل المكسيك
واشنطن
منذ 9 سنة
0
3713
العاصفة ” جوزيه ” تتحول لإعصار جديد فوق الأطلسي
واشنطن
منذ 9 سنة
0
3771
بالصور.. سيول بالمكسيك إثر تعرضها للإعصار ” ماكس “
مكسيكو سيتي
منذ 9 سنة
0
3482
ماكرون يعد بمساعدات جديدة لمنكوبي اعصار ” إيرما “
باريس
منذ 9 سنة
0
3491
مطالبات بغيير اسم إعصار إرما ليصبح ” إيفانكا “
واشنطن
منذ 9 سنة
4
4203
ارتفاع أسعار النفط تأثراً بتراجع الإنتاج الأمريكي
واشنطن
منذ 9 سنة
0
3236
إيرما يدمر 95% من جزيرة سان مارتن في البحر الكاريبي
باريس
منذ 9 سنة
3
3735
الأمم المتحدة تساعد في مواجهة الإعصار إرما
جنيف
منذ 9 سنة
1
2926
صورة هدوء أعصاب رجل كندي خلفه إعصار تشعل الإنترنت
مليكة فؤاد
منذ 9 سنة
2
5582
اضغط هنا للمزيد من الأخبار ....
أخر الأخبار
محافظ ينبع يدشّن الشعار الجديد لنادي المجد الرياضي بينبع
منذ 20 دقيقة
0
ينبع
جماهير تتسبب في إلغاء مباراة في كأس ليبرتادوريس
منذ 1 ساعة
0
وكالات
ضبط مواطن ارتكب مخالفة رعي في محمية الإمام عبدالعزيز بن محمد الملكية
منذ 1 ساعة
0
الرياض
جود عزيز: الفبيروميالجيا هلكني وكنت اشتغل واصيح مو قادرة اتحرك .. فيديو
منذ 2 ساعة
0
خاص
الجمارك تحبط تهريب 8.4 كيلو غرامات من الكوكايين مُخبأة في حاوية.. فيديو
منذ 2 ساعة
0
جدة